Згоден
Продовжуючи перегляд сайту, ви погоджуєтеся з тим, що ознайомилися з оновленою політикою конфіденційності та погоджуєтеся на використання файлів cookie.
Днепр » Новости города и региона
ср, 22 апреля 2026
14:18

НОВОСТИ ГОРОДА И РЕГИОНА

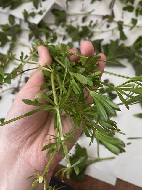
Злостный враг днепровских дачников оказался лечебной травой

Злостный враг днепровских дачников оказался лечебной травой

С этим сорняком беспощадную борьбу ведет большинство людей, которые имеют свою дачу или огород.

Научное название этого сорняка – пидмареннык цепкий.

Он очень живучий, плодовитый и активно покрывает всю территорию дачи, угнетая полезные растения.

Но мало кто знает о том, что этот сорняк является еще и лекарственным растением! Он – буквально кладезь полезных веществ и целебных свойств!

Об этом сообщают в Днепропетровском областном эколого-натуралистическом центре:

«Готові запросити добровольців на прополку підмаренника чіпкого!

А якщо серйозно - вивчаймо природу, щоб правильно використовувати ресурси, які буквально під ногами.

Тільки не кажіть, що ніколи не зустрічали цю «липучку».

А ось можете сказати, що вважали непрохідним бурʼяном, не знаючи, що це лікарська рослина!

Підмаренник звичайний (справжній або чіпкий) - це лікарська рослина з сечогінною, протизапальною, кровоспинною та заспокійливою дією. Дія мʼягка та не сильна.

Використовується для очищення лімфи, лікування хвороб нирок, шкіри (екзема, псоріаз, рани), ревматизму та хвороб шлунково-кишкового тракту.

Містить в собі магній, кальцій, калій, залізо, мідь, марганець, цинк, молібден, хром, нікель, ванадій, талій, титан, вітамін С, каротин, реннін, лимонна кислота, еллагова кислота, галова кислота”.

Gorod.dp.ua на Facebook.


Хмырь  (22.04.26 13:05): Да, чтобы какой-то эффект был, надо тоннами его жрать, как корова. Ответить | С цитатой
1
Gorod.dp.ua не несет ответственности за содержание опубликованных на сайте пользовательских рецензий, так как они выражают мнение пользователей и не являются редакционным материалом.

Gorod`ской дозор | Обсудите тему на форумах | Разместить объявление

Другие новости раздела:

ОБРАТИТЕ ВНИМАНИЕ!
Популярні*:
 за коментарями | за переглядами

* - за 7 днів | за 30 днів | Докладніше
Цифра:
90
лет тому назад начали строить Набережную

Источник
copyright © gorod.dp.ua
Все права защищены. Использование материалов сайта возможно только с разрешения владельца.

О проекте :: Реклама на сайте